[PRCo] A Few South Hills Area Track Maps

Herb Brannon hrbran at cavtel.net
Thu Dec 22 23:09:14 EST 2011


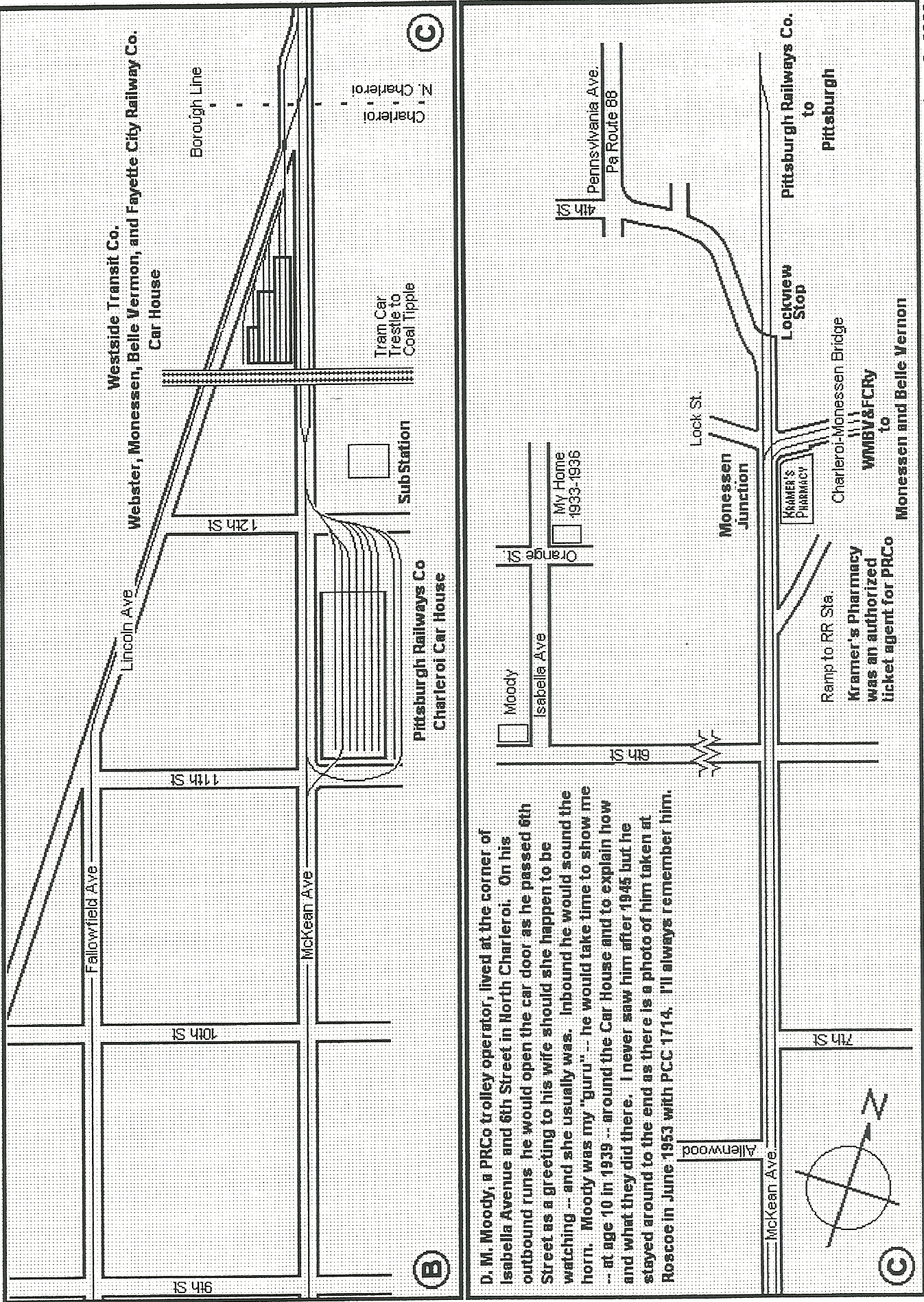
These are not to scale and in some instances are compressed. However all
switches are shown. Several of them can be placed together by matching the
letters (A/B/C, etc) located on the ends of some maps.
-- 
Herb Brannon
In Cuyahoga Valley National Park



-- Attached file removed by Ecartis and put at URL below --
-- Type: image/jpeg
-- Size: 2610k (2673149 bytes)
-- URL : http://lists.dementix.org/files/pittsburgh-railways/PRCoTPTrackMaps0008.jpg


-- Attached file removed by Ecartis and put at URL below --
-- Type: image/jpeg
-- Size: 2702k (2766883 bytes)
-- URL : http://lists.dementix.org/files/pittsburgh-railways/PRCoTPTrackMaps0001.jpg


-- Attached file removed by Ecartis and put at URL below --
-- Type: image/jpeg
-- Size: 2577k (2639218 bytes)
-- URL : http://lists.dementix.org/files/pittsburgh-railways/PRCoTPTrackMaps0002.jpg


-- Attached file removed by Ecartis and put at URL below --
-- Type: image/jpeg
-- Size: 2541k (2602139 bytes)
-- URL : http://lists.dementix.org/files/pittsburgh-railways/PRCoTPTrackMaps0003.jpg


-- Attached file removed by Ecartis and put at URL below --
-- Type: image/jpeg
-- Size: 2629k (2692171 bytes)
-- URL : http://lists.dementix.org/files/pittsburgh-railways/PRCoTPTrackMaps0004.jpg


-- Attached file removed by Ecartis and put at URL below --
-- Type: image/jpeg
-- Size: 2711k (2776349 bytes)
-- URL : http://lists.dementix.org/files/pittsburgh-railways/PRCoTPTrackMaps0005.jpg


-- Attached file removed by Ecartis and put at URL below --
-- Type: image/jpeg
-- Size: 2549k (2610353 bytes)
-- URL : http://lists.dementix.org/files/pittsburgh-railways/PRCoTPTrackMaps0006.jpg


-- Attached file removed by Ecartis and put at URL below --
-- Type: image/jpeg
-- Size: 2599k (2661656 bytes)
-- URL : http://lists.dementix.org/files/pittsburgh-railways/PRCoTPTrackMaps0007.jpg





More information about the Pittsburgh-railways mailing list