[PRCo] Re: Charleroi CH Plan

Herb Brannon hrbran at cavtel.net
Wed Dec 28 09:30:00 EST 2011


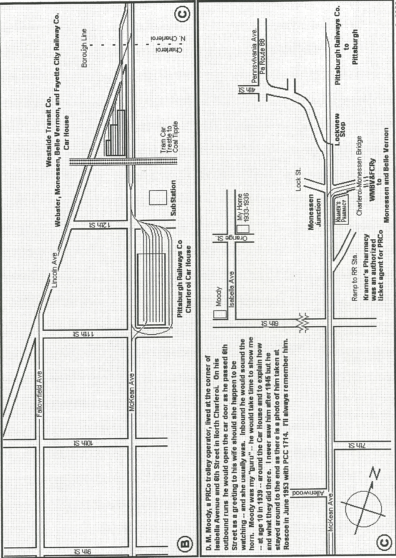
And here is the drawing being used as reference............they appear to
be identical other than a single line, rather than a double one, being used
for the track in the TP series.
On Wed, Dec 28, 2011 at 08:24, Edward H. Lybarger <trams2 at comcast.net>wrote:

> Content-Type: text/plain;
>        charset="us-ascii"
> Content-Transfer-Encoding: 7bit
> Here is a drawing from 1922 showing the arrangement of Charleroi Car House.
>
>
>
> Happy Holidays to all.
>
>
>
> Ed
>
>
>
>
> -- Attached file removed by Ecartis and put at URL below --
> -- Type: image/jpeg
> -- Size: 546k (560099 bytes)
> -- URL :
> http://lists.dementix.org/files/pittsburgh-railways/Charleroi%20CH%20Dwg%2017259.jpg
>
>
>
>


-- 
Herb Brannon
In Cuyahoga Valley National Park



-- Attached file removed by Ecartis and put at URL below --
-- Type: image/jpeg
-- Size: 2549k (2610353 bytes)
-- URL : http://lists.dementix.org/files/pittsburgh-railways/02-PRCoTPTrackMaps0006.jpg





More information about the Pittsburgh-railways mailing list